HYPERINTENSIFICATION AMPLIFICAT(ION)
Missive #19 - Transcribed Poetic Dictation
[This missive ‘blew’ in with a crystal-like clarity. Immediate, all at once apparent. Have you ever experienced synchronic hearing? Not in the way of hearing which constellates events across all time, all dimension. In the way of hearing the whole of something all at once, rather than one word at a time. I remember being told as a child that this was the difference between hearing and seeing: that one could look at a whole page and see every word, but hearing everything at once — even just a few words at once — would create a terrible and incoherent cacophony. In my later years, I have time and again experienced lucid synchronic hearing. It is not an easy sensation to describe, and yet it is absolute, coherent, easy. There is no struggle in the hearing, no strain in making out one word, one sound from another. And yet they are all one sound, and given to me in one moment. Even more bizarre, perhaps, when what one hears is what follows, which has many arms, and many legs, and many heads. This is the leeway — the way of Lee. Enjoy~] Received 9/15/2023, during the second meeting of an eight-week Salome Institute course | ~12:50pm
Listen to the Recitation:
HYPERINTENSIFICATION AMPLIFICAT(ION)
The Voice reads
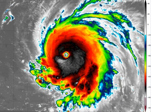
Overnight last Thursday (Thor’s day)
Hurricane Lee’s sustained wind speeds increased by 80 mph,
In what meteorologists are now calling ‘hyperintensification’.
‘Rapid intensification’, the old standard, is when
Wind speed increases by 35 mph over a 24 hour period.
With super-warm ocean temperatures and low wind shear,
“All the stars were aligned for Lee to intensify rapidly.”
Lee is the 7th storm in recent history to join this club:
Wilma, Felix, Ike, Matthew, Maria, Eta, Lee.
Seven Trumpets are sounded by Seven Angels.
In 1975, around half a century ago, the
Geostationary Operational Environmental Satellite
(GOES) program formally began monitoring storms.
Only in the last 20 years have hyperintensified
Hurricanes been observed, at least in this way.
The ocean of the unconscious is getting warmer.
A great storm is raging overhead and all around us.
We are close to the edge. It will get more intense.
Lee is charting a new course, or are they the herald
of a New Course Charter: we are charging
Forward, fully charged living amplifications, cations
A cation is an ion that has lost one or more electrons,
giving a net positive charge. Because one or more electrons
are removed to form a cation, the cation of an atom is
smaller than the neutral atom. pH and acidity
Less acidic is Higher
Less basic is Lower
Closer to zero is more Acidic
Closer to 14 is more Alkaline
7 is the number of Neutrality
Neutral is neither Basic nor Acidic.
Flowing
FLUid
Comfort ~ DisComfort
Is anything we do unnatural?
Is anything that happens unnatural?
If it happens, it is natural.
If you do it, it is natural to do it.
Whether comfortable, uncomfortable, awkward or uninterrupted
It's all natural
If it weren't, it wouldn't happen and you wouldn't do it.
The Amplification Framework
From Critique (shame) to Amplification (enrichment)
Bring out mORE of what wants to be revealed
Facilitating the growth, the movement, the incubation
Decrease wind shear
Heat up the unconscious ocean waters
Let the storm intensify of its own accord
It will become perfectly what it is meant to be
It will convey perfectly what it is meant to bring
We do not tell the hurricane what it did wrong, what it could have done better
We observe the hurricane, with great and boundless curiosity-horror-awe
For what it will become
For its great process of becoming, of birthing
Wading, Waiting
The Pregnancy is Promise
The waiting is not waiting
Drop down below the surface
Float, of your own accord
Let your head go under
Be made again
Make yourself, again
Take comfort in the discomfort
It is leading us exactly where we must go.
I hear the wind blowing
I see the tree branches moving
Dancing together in core-relation
The Lankavatara Sutra repeats in my head
Neither causes the other
They happen together.
The head of the year
The head of the tide
The eye of the storm
Shanah tovah ~ may it be a good one
May it have sweetness
May we learn from our past ‘mis-takes’.
Tishrei marks the civil new year
And Nisan the ecclesiastical
They are both the first and seventh months
Together, and simultaneously.
Which is the middle, and which the start?
Does the shofar herald a new year
Or a year half-through?
Which is the head, and which the heart?
Silly me!
The head is the heart
And the heart, the head.
Parsifal
Dive into myth, into legend
The keys on the map
That help you find your way.
The myth is not a myth
And Parsifal is no man.
They and the Grail, the Spear, are One.
"What ails thee?"
Come back to me
Come back to me
Together, we are not sick
Drink, Eat, Breathe — there is no illness left to burn.
The burning bush is Divine
The Divine has no Di/vision, and yet it Di/vides
Eau de vie
Take it in deeply
The dark-cloud hiding place is overhead
The lightning does not distinguish
The lightning illustrates the connection
There is no connection to be made
Plasma is both fire and blood
Without it, there is no life
It is all around us
It is everywhere within us
And it has never not been.
The white dragon busts out
From its prison of ice at the end of the world
Into a field of wildflowers, incriminating, discriminating
The dragon is no dragon, but a unicorn
And the unicorn is no unicorn, but a childless Mother
The mother of all, the castration mOther
The Matri(x) Deum: the mother of all.






Power Full 🌬️ 🌀🐉🌬️
Wow. Incredible